Back to Listings
W Causeway Approach
Mandeville , Louisiana 70448
- Listing Type:
- For Sale
- Listing Price:
- $1,640,000.00
- Property Type:
- Land
- Property Subtype:
- Office
- Year Built:
- Listing Status:
- Active
- Land Area:
- 3.00 Acres
Description:
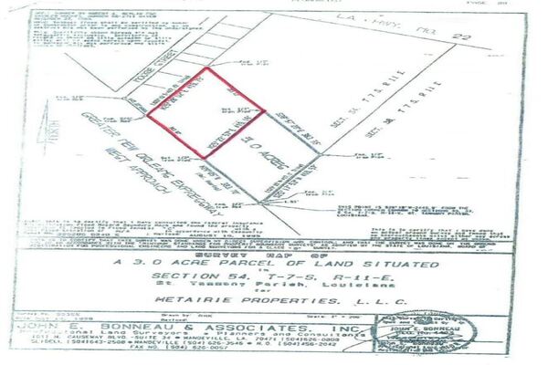
3 acres in Mandeville on West Causeway Approach with almost 400 feet of frontage. One of the last remaining parcels available on West Causeway. Very convenient access to the Causeway, Hwy 22, and I-12. It is surrounded by professional office developments. Located in the city limits of Mandeville zoned B-2, which allows for many Highway Commercial uses.
3 Acres
Almost 400 ft of frontage on West Causeway
Convenient Location
Mandeville City Limits
B-2 Zoning
Presented by:
Listed by:
Keller Williams Realty Services
Mandeville
Mortgage Calculator
INPUTS
